Harold, Howard and Halbert "Bud" Hardrath Remember..................

 

Bright Green Grove Township

Clark County, Wisconsin

 

Transcribed by Crystal Wendt.

 

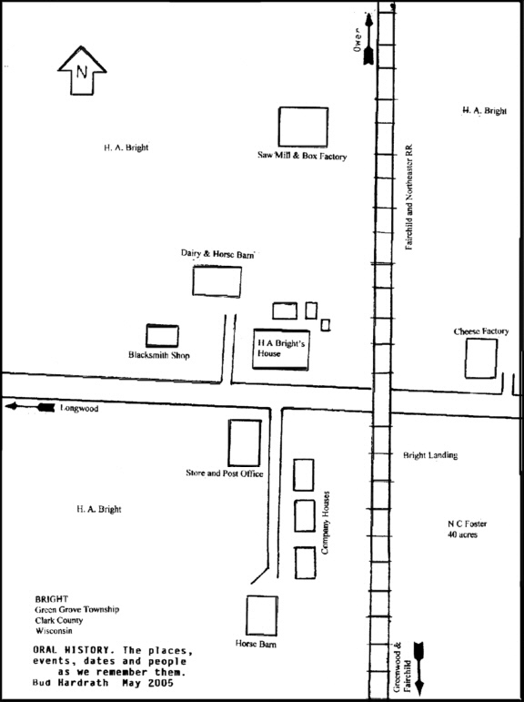
In the book Wisconsin Death Trip by Michael Lesy when writing about Tom Van Schaick in the time frame 1894 the following statement was made, “He kept books for old man Bright, another Yankee lumber millionaire”. H. A. Bright owned Bright. Surrounded by tracts of land totaling about 2000 acres owned by H. A. Bright was the typical saw mill village of Bright located 3 ¼ miles east of Longwood, Wisconsin. The road from Longwood to Bright is now Clark County Highway N. The Village of Bright had a saw mill, box factory, general store, US Post Office, black smith shop, cheese factory, barn and outbuildings, 3 houses for company employees, and horse barn. The village was served by the F & NE Railroad with a landing on the south side of the road. The focal point of the village was the elegant brick home of H. A. and Anna Bright. The two story house had tall ceilings, large rooms with tall wide windows, corner fireplace in the living room, running water with an indoor bath, big front and back porches, a clothes line on an open deck connected to the house, and a wood shed with a covered walkway to the house. The house had accommodations for travelers who needed overnight lodging. The H. A. and Anna Bright home had many amenities to make it a splendid place to live. It was probably the most elegant house in the area. Old Timers said that H. A. Bright came to Clark County from Black River Falls in Jackson County. The 1880 US Census lists him living in Albion in Jackson County, Wisconsin. --- August and Emma Lange lived on a farm 2 ¾ miles east of Bright. Their daughter Elsa as a young woman worked in the home of Halbert A. and Anna Bright. Elsa lived at home and walked to work each day. She had praise and great admiration for them, especially Mr. Bright. Part of her duties were in the kitchen and a dinning room where the regular employees were served dinner at noon. Herman and Elsa Lange Hardrath named their youngest son Halbert, after Halbert Bright, the man they knew and respected. Lena Horner (Mrs. John Miller) worked for Bright when Elsa worked there.

 

The store and US Post Office was across the road from the house. There was no rural free delivery at the time and you had to go to the post office to get your mail. As a boy the Saturday job for Julius Lange, August’s son, was to walk to Bright to get the mail and buy groceries for his mother. The weekly grocery list usually included a pound of coffee (10 cents) and five pounds of sugar (25 cents). Gus Brocker was the last to operate the store. Howard Hardrath remembers his mother and father and sister and brothers visiting Grandmother and Grandfather H. in the Bright house and while there Grandmother gave each of her grandchildren a quarter and they walked across the road to the store and bought candy.

(Click to enlarge)

Details of these cards:

(Top post card) Mrs. August Lange (Emma) received this card from her mother in Virchow,Germany. It was sent to Curtiss where it was forwarded to Bright, WI.
 
(Bottom post card) Elsa Lange received this card from her Aunt Ida who lived in Virchow, Germany.

 

The original cheese factory burned down. A new one to replace it was built on the corner west of the Bright. Elmwood Fischer, who married Esther Hardrath, was one of the cheese makers. Frank Kovatch was his helper.

 

The F & NE (Fairchild and Northeaster Railroad) was extended to the Village of Bright and then in 1906 completed on to Owen. Elsa Hardrath said, “The fare to ride the train from Bright to Owen was $.05.” The “Old Timers” in the area said that N. C. Foster was a wealthy lumberman and that F& NE stood for Foster and Nobody Else. In the midst of all the H. A. Bright holdings, N. C. Foster owned 40 acres of land on the south side of the road and east of the store. This was the location of the Foster Landing where freight was shipped and received. Herman Hardrath Jr. told the following: “Pa (Herman Sr.) owned an 80 acre tract ¾ mile east and 1 mile south of the landing at Bright and another 80 acres ¼ mile farther south. In the winter Henry (older brother) and I lived in a shack we built on the land and had shelter for the team of horses. There was a knot hole in the floor of the shack and a squirrel that became a pet came through the knot hole every morning and we fed it rinds from the bacon we fried for breakfast. Henry and I sawed off the saleable timber and hauled it with the horses and sleigh to Foster’s Landing at Bright. The logs were shipped to a saw mill in Fairchild. Pa bought the 80 acre tracts fro $1000 each and sold them after they were logged off for $2000 each. Ed Horner bought the 80 farthest to the south”. The rail traffic for the F & NE depended on the movement and shipping of the logs and lumber products. As the available timber because less and less the rail traffic declined and by 1926 the F & NE to Bright and Owen was abandoned. In some places the right of way for the railroad was still visible in 1950’s and maybe still is.

 

H. A. Bright in addition to his logging, sawmill and other enterprises in Bright developed a farming operation that he called his West Farm. About 2 miles east of the Bright and on the north side of the road he owned about 460 acres. H. A. Bright developed a farm on this tract and called it his East Farm. He hired a manager to oversee and work the farms. About 1907 Mr. and Mrs. Caves managed the East Farm.

 

When H. A. Bright died the estate sold off his Green Grove holdings. At the auction Herman and Elsa Hardrath bought 6 chairs from the crew dinning room, two pictures and Mr. Bright's fur mittens. Their grandchildren have the chairs. --- Herman Jr. and sister, Clara said Ma always wanted a big house. She could not have been happier at any time than the day she and her husband Herman Hardrath, Sr. bought the Bright property and the home of millionaire lumberman H. A. Bright. That was about in 1922. ---This story of Mr. Bright was often told. He had a parrot that he personally fed, and took care of. H. A. and the bird had a bond with each other. When. H. A. died the bird would not respond to others who tried to care for it and feed it. The parrot would not eat, kept saying “Where is Bright?” and died.

 

Cecil and Evelyn (Edblom) Alexander married 23 Nov. 1932 and lived in one of the houses that H. A. Bright had built for his workers. Cecil had a team of big gray horses that he drove on the grader used for grading Clark Cty. Hwy. N. Cecil kept his horses in the horse barn south of the houses.

 

Box Factory at Bright, WI

Richard “Dick” Jishkowski is in the foreground right side. The Jishkowski family name was changed to Kaiser. The Kaiser family lived across the road from August Lange. Other two men in picture are unknown.

 

 

The Loyal Tribune printed this story about Herman Hardbrath Sr. in about 1931 when he was living on the Bright Farm.

 

Work and Life

 

There is an old saying to the effect that when a man stops working he stops living. The statement will hardly apply to humanity as a whole, for there is and probably always will be a goadly proportion of our human race that manages, with remarkable success, to exist without working.

 

Nevertheless, observation will show that the men who have made the greatest: names for themselves in the world of industry, have amassed the largest fortunes, contributed that most valuable inventions or otherwise have done big things in a big way, seldom desert the job as long as they are able to work.

 

It is a remarkable truth that the man who has lived a life of activity and industry usually signs his death warrant when he retires from active life. The habits of a lifetime are hard to change and the man, who is success, while he may complain of the daily grin and long to get away from it, actually likes his work or he would not have made a success of it.

 

And so, though he begins to feel that the one thing in the world he needs is to get away from his business for good, he soon discoveries that he cannot live without it.

 

The is the train of thought that suggested itself to us a few days ago when we found Herman Hardrath Sr. of Green Grove, at work in his pasture, burning stumps and brush.

 

Mr. Hardrath is 74 years old and declares that he is neither is young nor as spry as he used to be but has no intention of spending the remainder of his life in idleness.

 

He has always worked, he says, and he firmly believes that if he should stop working to live a life of leisure the number of his days on earth would be considerably shortened. He admits however, that all work and no leisure is not the proper program for a man who has worked as long as he has and he must have his rest as well as his work.

 

He has two farms which he rents so that none of his work is so pressing that he cannot follow his own inclinations. He drives an automobile which he drives more competently than many a younger man and yet without displaying that timidity that is common to men who feel that the auto is the plaything of a newer generation and decidedly unsafe.

 

Mr. Hardrath was born in Germany, near Berlin and came to America with his parents when he was 14, just a few years after the Civil War. His people settled near Manitowoc, a locality where German people where so numerous that their language as taught in the schools there.

 

There he received his early training in faming and there he was married. Some time after his marriage, or more than forty years ago, he moved to Clark County and bought a wild farm in the town of Green Grove.

 

Herman recalls driving to Marshfield with grain to be sold there, making the thirty mile trip and return that same day. There were a few roads in that section and the road to Marshfield was a logging trail which ran beside the railroad tracks.

 

In the course of the time he acquired a second farm, later selling both of them and moving to Loyal where he engaged in business and lived for seven years. About ten years ago he returned to Green Grove and bought the farm where he now lives and later, again acquired a second farm.

 

His story, like that of many other foreign born American who has eared success in his adopted fatherland, is a story of industry and thrift. And because work has been so integral a part of his early life it must place a part in his later life or he feels that it would not be worth living. Mrs. Hardrath shares in his sentiments and so they continue to _____ and to work together.

 

Bright Map

 

 

 


© Every submission is protected by the Digital Millennium Copyright Act of 1998.

 

Show your appreciation of this freely provided information by not copying it to any other site without our permission.

 

Become a Clark County History Buff

 

Report Broken Links

A site created and maintained by the Clark County History Buffs
and supported by your generous donations.

 

Webmasters: Leon Konieczny, Tanya Paschke,

Janet & Stan Schwarze, James W. Sternitzky,

Crystal Wendt & Al Wessel

 

CLARK CO. WI HISTORY HOME PAGE